About Fenner Rd & Jeffreys Road
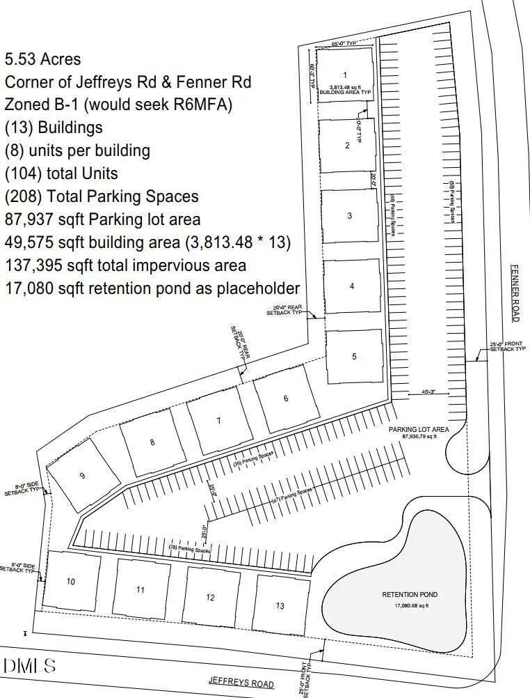
Prime 5.53-Acre Development Site | Corner of Jeffreys & Fenner Rd Positioned at the high-traffic intersection of Jeffreys Road and Fenner Road, this 5.53-acre parcel offers a rare ''blank canvas'' opportunity in one of Rocky Mount's most active growth paths. Whether you are looking to capitalize on current business zoning or pivot toward high-density residential demand, this site is positioned for success. The Opportunity Current Zoning (B-1): Ideal for neighborhood business applications, office space, or retail services that benefit from excellent visibility and easy access. The Vision (R-6MFA Potential): While currently commercial, a conceptual plan has been developed for R-6MFA (Multi-Family Residential). This ''Higher and Better Use'' concept addresses the surging need for quality multi-family housing in the area, offering a developer-ready roadmap for a high-density community. The provided concept plan is for conceptualization only and has not been reviewed by a civil engineer Key Site Features High Visibility: Extensive frontage on both Jeffreys and Fenner Roads. Strategic Access: Minutes away from major retailers, medical facilities, and the US-64/I-95 corridor. Infrastructure: Located in a well-served area with utilities nearby, simplifying the development timeline. Scalable Layout: 5.53 acres provides ample room for creative site planning, including required setbacks, parking, and green space.
Features of Fenner Rd & Jeffreys Road
| MLS® # | 10146978 |
|---|---|
| Price | $350,000 |
| Acres | 5.53 |
| Type | Land |
| Sub-Type | Unimproved Land |
| Status | Active |
Community Information
| Address | Fenner Rd & Jeffreys Road |
|---|---|
| Subdivision | Not in a Subdivision |
| City | Rocky Mount |
| County | Nash |
| State | NC |
| Zip Code | 27804 |
Amenities
| Utilities | None |
|---|---|
| Is Waterfront | No |
| Has Pool | No |
Interior
| Fireplace | No |
|---|---|
| Has Basement | No |
School Information
| Elementary | Nash - M B Hubbard |
|---|---|
| Middle | Nash - Red Oak |
| High | Nash - Northern Nash |
Additional Information
| Date Listed | February 17th, 2026 |
|---|---|
| Zoning | B-1 |
| Foreclosure | No |
| Short Sale | No |
| RE / Bank Owned | No |
Listing Details
| Office | Braddock Realty |
|---|
